Thư viện ảnh (6)
Nhà phốDiên KhánhXã Diên Phước
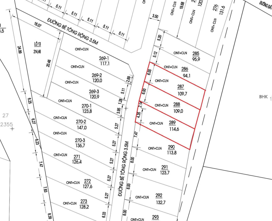
Mình là chủ đất bán 109.7m2 Diên Tân cũ, giá 470tr, sát đường HL62, hợp vk ck trẻ xây nhà
Ngày đăng: 26/2/2026
470.000.000 ₫Diện tích
109 m2
Phòng ngủ
0
Phòng tắm
0
Địa chỉ
Thông tin chính
- Hướng
- Tây - Bắc
- Pháp lý
- Sổ đỏ/ Sổ hồng
Thuộc tính chi tiết
| Khoảng giá | 470 triệu |
|---|---|
| Diện tích | 109 m² |
| Hướng nhà | Tây - Bắc |
| Mặt tiền | 6 m |
| Đường vào | 3,5 m |
| Pháp lý | Sổ đỏ/ Sổ hồng |
Mô tả
Nhà mình ra nhanh lô liền kề, Diên Tân cũ, sát HL 62, giá rẻ, hợp cho ACE nhà mình tài chính thấp xây nhà. Lô 287 DT: 109,7m² Giá: 470tr





